川南在线 发布时间:2023-02-06
长江泸州段上的大桥建设喜讯不断!二桥、六桥、河东长江大桥都在加紧施工,预计今年内通车。
市民朋友特别关注的泸州长江五桥也传来好消息:施工中标结果出炉,即将进入施工阶段。

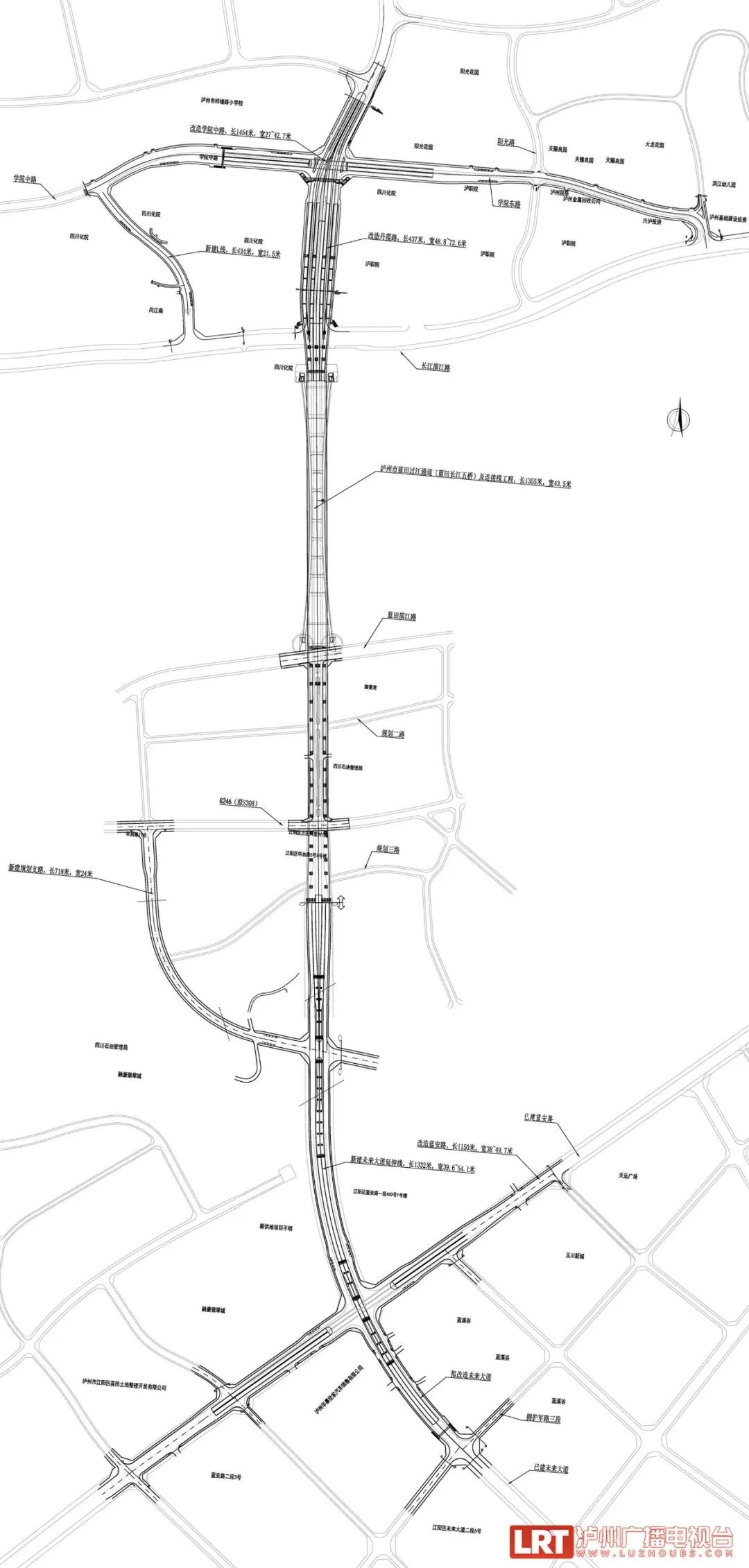
视听君从泸州市政务服务和公共资源交易中心获悉,泸州市蓝田过江通道(蓝田长江五桥)及连接线工程、学院中路升级改造工程、未来大道延伸线工程施工中标结果出炉,中国建筑第六工程局有限公司为中标单位。据了解,中建六局目前也正在进行泸州长江二桥的建设。
根据中标结果公告,项目中标价格约为18.13亿元,工期为1320天(约3年7个半月)。

项目“蓝田映月”方案效果(以实施为准)
根据此前的规划方案,蓝田长江五桥及连接线工程起于学院中路与丹霞路平交口,由北向南延伸,止于蓝安路与未来路交叉口。主线长1355米,其中跨江主桥长度612米,北岸引桥长度179米,南岸引桥长度564米。

主线为双向六车道,另预留轨道交通建设条件。
(来源:视听泸州)
编辑:李永鑫
关注川南在线网微信公众号
长按或扫描二维码 ,获取更多最新资讯
其他